Come dire STOP alle cocciniglie
Le cocciniglie sono insetti particolarmente tenaci e difficili da eliminare se l’intervento di eliminazione non viene svolto nelle prime fasi…

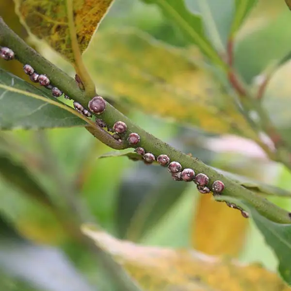
Le cocciniglie sono insetti particolarmente tenaci e difficili da eliminare se l’intervento di eliminazione non viene svolto nelle prime fasi di infestazione. Possono essere a scudetto, simili a conchigliette attaccate ai rami e alle foglie, oppure bianche e cotonose, poco mobili. La metcalfa è un insetto affine: simile a una piccola farfallina grigia, poco mobile; il fogliame e i rami delle piante infestate da metcalfa sono coperti da una melata appiccicosa e biancastra.
Per combattere cocciniglia e metcalfa sulle piante ornamentali, ortive e da frutto si può scegliere la lotta naturale. Cifo Olio di Lino – Stop Cocciniglia è in grado di attivare le difese naturali delle piante nei confronti degli insetti, in particolare delle cocciniglie e metcalfa, e non lascia alcun residuo sulle piante. Utile anche Cifo Sapone Molle – Stop Insetti, che rinforza le piante rendendole meno soggette alle infestazioni e ha un importante effetto “pulente” naturale, per lavare le piante imbrattate da melata o fumaggini (la muffa nerastra che si forma sulla melata).
Per le piante ornamentali in casa e giardino colpite da cocciniglia si può impiegare anche Cifo Insetticida Anticocciniglia Oleosan Plus PFNPO, pratico perché pronto all’uso: oltre alle cocciniglie e metcalfa, agisce anche contro uova di afidi, acari e larve di lepidotteri.

Contattaci
Ricevi informazioni e novità sul mondo del giardinaggio con la newsletter Cifo!